タイトル
ACRはなぜ重要??日付
2024-09-24クリック回数
1584
美容コラム
ACRであなたも綺麗な鼻に?
こんにちは。AB美容外科で通訳&マーケターとして働いているマヒロと申します。
数多くの鼻整形相談を見てきた中で、お客様が仰る単語がいくつかございます。
「忘れ鼻」や「存在感のない鼻」「ACR」「Eライン」など
今回はそんな患者様の中でも鼻整形相談時によく出てくる「ACR」(alar-columellar relationships)についてお話しします。
ACRとは?
ACRとは‘Alar-Columellar Relationships‘の略で、鼻整形において重要な要素の1つです。
ACRは正面から見て、小鼻(鼻翼)と鼻柱(鼻先の支柱)を結んだ形を意味します。
美しい鼻を作るためにはACRのバランスが重要です。
ACRの種類3つ
直線型ACR:鼻柱と鼻翼がほぼ一直線に見えるタイプです。このタイプは鼻先が丸く見える場合が多く、団子鼻のような印象を与えます。
三角型ACR:鼻柱と鼻翼間に角度があり、鼻全体が丸まって見える形です。
逆三角型ACR:鼻柱が薄く、鼻先が細く見える形です。この形が一番美しいと言われており、忘れ鼻‘として人気が高いです。
その中でも一般的に綺麗な鼻や忘れ鼻として人気が高いのが逆三角形の形です。
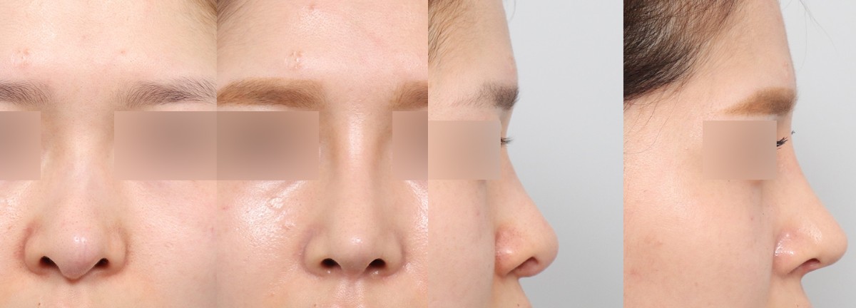
上記の写真(左)はACRがほぼ直線なのに対し、右は逆三角形のACRです。
こうして見ると鼻先がスラっとしており団子鼻の丸い感じも緩和されて無駄のない鼻になっております。
なら鼻柱だけ長くすれば綺麗な鼻?
いえ、絶対そうとは限りません。以下の患者様は逆三角形のACRをお持ちでしたが、鼻柱が下に下がりすぎていて違和感があります。
横から見ても鼻柱がかなり下がっていてEラインも綺麗には見えません。
これらを改善するためには、下がり過ぎた鼻柱の位置を調節しつつ鼻の高さを出すことで、綺麗なACRとEラインを整えることが出来ます。
ACRを整えるためにはどんな手術が必要ですか?
①鼻翼の上げ下げ
鼻翼部位(小鼻)に沿って切開を行い、鼻翼を上下に調節をすることで綺麗なACRが出るように調節します。
②鼻柱の上げ下げ
こちらは鼻翼(小鼻)部位の切開を必要とせず、鼻柱に使われる材料(耳介軟骨/肋軟骨など)の立てる位置を調節することで、鼻柱の位置を上下させます。
*このときに注意しなければいけないのが、鼻柱の出し過ぎです。
いくらACRが大事だとしても以下のように鼻柱がおり過ぎている場合には鼻の穴が多く露出してしまい、綺麗には見えにくくなります。
一概にACRを整えればいいという問題ではなく、個人に合った高さや角度を合わせることも重要だということです。
当院の院長は日本人のお客様が望む「忘れ鼻」や「ACR」「Eライン」などをしっかり把握しており、個人に合った高さや角度を調節して満足する綺麗な鼻を提供するために日々努力を惜しみません。
当院にお越しいただき、自分に似合う鼻の相談を受けてみてください😊
気になる点がありましたら、当院の@ABPRS_JPにご連絡ください。
CT撮影、対面相談後の診断によって費用が異なる場合があります。
あざや腫れは個人によって引く早さが異なります。



